Eidsvold Wreck

★★★★☆ (49)

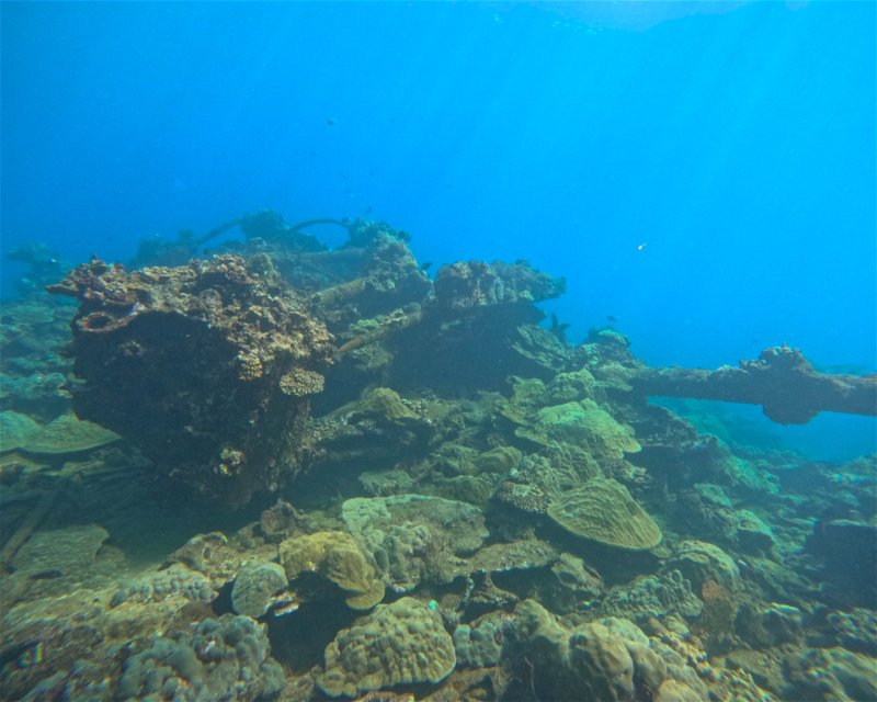
L'épave d'Eidsvold, l'une des plongées sur épave les plus accessibles par bateau en Australie, raconte une histoire de la Seconde Guerre mondiale sous les vagues. Devenue un refuge pour les poulpes, les platax et les visiteurs nocturnes, c'est un site historique ramené à la vie par le récif.

L'épave d'Eidsvold se trouve entre 5 et 18 mètres, avec différentes parties du bateau dispersées le long du récif frangeant, attirant divers poissons de récif.

Type d'activité de plongée

Vie marine susceptible d'être observée

Les observations d’animaux sauvages sont basées sur le contenu généré par les utilisateurs

La photo présentée est une illustration représentative et ne montre pas tous les animaux de cette catégorie.

Nombre total d'espèces: 600

Labre

6 Observations
J
0
F
0
M
0
A
0
M
0
J
0
J
1
A
0
S
2
O
0
N
3
D
0

La photo présentée est une illustration représentative et ne montre pas tous les animaux de cette catégorie.

Nombre total d'espèces: 200

Murène

5 Observations
J
0
F
0
M
0
A
0
M
0
J
0
J
0
A
0
S
2
O
0
N
2
D
1

La photo présentée est une illustration représentative et ne montre pas tous les animaux de cette catégorie.

Nombre total d'espèces: 27

Barracuda

2 Observations
J
0
F
0
M
0
A
0
M
0
J
0
J
0
A
0
S
0
O
0
N
2
D
0

Requin Baleine

1 Observations
J
0
F
0
M
0
A
0
M
0
J
0
J
0
A
0
S
0
O
0
N
0
D
1

Raie Manta de récif

1 Observations
J
0
F
0
M
0
A
0
M
0
J
0
J
0
A
1
S
0
O
0
N
0
D
0

La photo présentée est une illustration représentative et ne montre pas tous les animaux de cette catégorie.

Nombre total d'espèces: 25

Raie Aigle

1 Observations
J
0
F
0
M
0
A
0
M
0
J
0
J
0
A
1
S
0
O
0
N
0
D
0

Tortue caouanne

1 Observations
J
0
F
0
M
0
A
0
M
0
J
1
J
0
A
0
S
0
O
0
N
0
D
0

Tortue imbriquée

1 Observations
J
0
F
0
M
0
A
0
M
0
J
0
J
0
A
0
S
0
O
0
N
1
D
0

La photo présentée est une illustration représentative et ne montre pas tous les animaux de cette catégorie.

Nombre total d'espèces: 130

Poisson-papillon

10 Observations
J
0
F
0
M
0
A
0
M
0
J
1
J
0
A
2
S
2
O
0
N
4
D
1

La photo présentée est une illustration représentative et ne montre pas tous les animaux de cette catégorie.

Nombre total d'espèces: 28

Poisson-clown

9 Observations
J
0
F
0
M
0
A
0
M
0
J
1
J
0
A
1
S
2
O
0
N
4
D
1

La photo présentée est une illustration représentative et ne montre pas tous les animaux de cette catégorie.

Nombre total d'espèces: 100

Poisson-perroquet

9 Observations
J
0
F
0
M
0
A
0
M
0
J
0
J
1
A
1
S
2
O
0
N
4
D
1

La photo présentée est une illustration représentative et ne montre pas tous les animaux de cette catégorie.

Nombre total d'espèces: 90

Poisson-ange

8 Observations
J
0
F
0
M
0
A
0
M
0
J
0
J
1
A
1
S
2
O
0
N
3
D
1

La photo présentée est une illustration représentative et ne montre pas tous les animaux de cette catégorie.

Nombre total d'espèces: 85

Poisson-chirurgien

7 Observations
J
0
F
0
M
0
A
0
M
0
J
0
J
0
A
1
S
2
O
1
N
3
D
0

La photo présentée est une illustration représentative et ne montre pas tous les animaux de cette catégorie.

Nombre total d'espèces: 60

Poisson-soldat

7 Observations
J
0
F
0
M
0
A
0
M
0
J
0
J
0
A
1
S
2
O
0
N
4
D
0

La photo présentée est une illustration représentative et ne montre pas tous les animaux de cette catégorie.

Nombre total d'espèces: 40

Poissons Balistes

7 Observations
J
0
F
0
M
0
A
0
M
0
J
0
J
0
A
1
S
2
O
0
N
3
D
1

La photo présentée est une illustration représentative et ne montre pas tous les animaux de cette catégorie.

Nombre total d'espèces: 90

Poisson-chèvre

6 Observations
J
0
F
0
M
0
A
0
M
0
J
1
J
0
A
0
S
2
O
0
N
3
D
0

La photo présentée est une illustration représentative et ne montre pas tous les animaux de cette catégorie.

Nombre total d'espèces: 130

Poisson-globe

6 Observations
J
0
F
0
M
0
A
0
M
0
J
0
J
0
A
1
S
0
O
1
N
3
D
1

La photo présentée est une illustration représentative et ne montre pas tous les animaux de cette catégorie.

Nombre total d'espèces: 8

Poisson-cocher

6 Observations
J
0
F
0
M
0
A
0
M
0
J
0
J
0
A
1
S
1
O
0
N
4
D
0

La photo présentée est une illustration représentative et ne montre pas tous les animaux de cette catégorie.

Nombre total d'espèces: 12

Pterois

5 Observations
J
0
F
0
M
0
A
0
M
0
J
1
J
0
A
1
S
0
O
0
N
2
D
1

La photo présentée est une illustration représentative et ne montre pas tous les animaux de cette catégorie.

Nombre total d'espèces: 350

Demoiselle

5 Observations
J
0
F
0
M
0
A
0
M
0
J
0
J
0
A
0
S
2
O
0
N
2
D
1

Requin Pointe Blanche de Lagon

4 Observations
J
0
F
0
M
0
A
0
M
0
J
0
J
0
A
2
S
2
O
0
N
0
D
0

La photo présentée est une illustration représentative et ne montre pas tous les animaux de cette catégorie.

Nombre total d'espèces: 150

Gâterins et Gorette

4 Observations
J
0
F
0
M
0
A
0
M
0
J
0
J
0
A
0
S
2
O
0
N
2
D
0

La photo présentée est une illustration représentative et ne montre pas tous les animaux de cette catégorie.

Nombre total d'espèces: 3

Poisson-trompette

4 Observations
J
0
F
0
M
0
A
0
M
0
J
0
J
0
A
2
S
0
O
0
N
1
D
1

La photo présentée est une illustration représentative et ne montre pas tous les animaux de cette catégorie.

Nombre total d'espèces: 7000

Crabe

3 Observations
J
0
F
0
M
0
A
0
M
0
J
0
J
0
A
1
S
2
O
0
N
0
D
0

La photo présentée est une illustration représentative et ne montre pas tous les animaux de cette catégorie.

Nombre total d'espèces: 40

Carangue

2 Observations
J
0
F
0
M
0
A
0
M
0
J
0
J
0
A
0
S
0
O
0
N
2
D
0

La photo présentée est une illustration représentative et ne montre pas tous les animaux de cette catégorie.

Nombre total d'espèces: 15

Poisson-garou

2 Observations
J
0
F
0
M
0
A
0
M
0
J
0
J
0
A
0
S
1
O
0
N
1
D
0

La photo présentée est une illustration représentative et ne montre pas tous les animaux de cette catégorie.

Nombre total d'espèces: 25

Poisson-coffre

2 Observations
J
0
F
0
M
0
A
0
M
0
J
0
J
0
A
0
S
0
O
0
N
1
D
1

La photo présentée est une illustration représentative et ne montre pas tous les animaux de cette catégorie.

Nombre total d'espèces: 80

Empereurs

2 Observations
J
0
F
0
M
0
A
0
M
0
J
0
J
0
A
0
S
0
O
0
N
2
D
0

La photo présentée est une illustration représentative et ne montre pas tous les animaux de cette catégorie.

Nombre total d'espèces: 3000

Nudibranche

2 Observations
J
0
F
0
M
0
A
0
M
0
J
0
J
0
A
0
S
2
O
0
N
0
D
0

La photo présentée est une illustration représentative et ne montre pas tous les animaux de cette catégorie.

Nombre total d'espèces: 80

Raies pastenagues

1 Observations
J
0
F
0
M
0
A
0
M
0
J
0
J
0
A
0
S
0
O
0
N
1
D
0

La photo présentée est une illustration représentative et ne montre pas tous les animaux de cette catégorie.

Nombre total d'espèces: 250

Mérou/Basslets

1 Observations
J
0
F
0
M
0
A
0
M
0
J
0
J
0
A
0
S
0
O
0
N
1
D
0

La photo présentée est une illustration représentative et ne montre pas tous les animaux de cette catégorie.

Nombre total d'espèces: 30

Lançon

1 Observations
J
0
F
0
M
0
A
0
M
0
J
0
J
1
A
0
S
0
O
0
N
0
D
0

La photo présentée est une illustration représentative et ne montre pas tous les animaux de cette catégorie.

Nombre total d'espèces: 110

Vivaneau

1 Observations
J
0
F
0
M
0
A
0
M
0
J
0
J
0
A
0
S
0
O
0
N
1
D
0

La photo présentée est une illustration représentative et ne montre pas tous les animaux de cette catégorie.

Nombre total d'espèces: 60

Poisson Écureuil

1 Observations
J
0
F
0
M
0
A
0
M
0
J
0
J
0
A
0
S
0
O
0
N
0
D
1

La photo présentée est une illustration représentative et ne montre pas tous les animaux de cette catégorie.

Nombre total d'espèces: 15

Thon

1 Observations
J
0
F
0
M
0
A
0
M
0
J
0
J
0
A
1
S
0
O
0
N
0
D
0

La photo présentée est une illustration représentative et ne montre pas tous les animaux de cette catégorie.

Nombre total d'espèces: 20

Poisson porc-épic

1 Observations
J
0
F
0
M
0
A
0
M
0
J
0
J
0
A
0
S
0
O
0
N
1
D
0

Demoiselle de Garibaldi

1 Observations
J
0
F
0
M
0
A
0
M
0
J
0
J
0
A
0
S
0
O
0
N
1
D
0

La photo présentée est une illustration représentative et ne montre pas tous les animaux de cette catégorie.

Nombre total d'espèces: 120

Limande

1 Observations
J
0
F
0
M
0
A
0
M
0
J
0
J
0
A
0
S
1
O
0
N
0
D
0

La photo présentée est une illustration représentative et ne montre pas tous les animaux de cette catégorie.

Nombre total d'espèces: 22

Morue

1 Observations
J
0
F
0
M
0
A
0
M
0
J
0
J
0
A
0
S
0
O
0
N
1
D
0

Centres de plongée desservant ce site de plongée

SITES DE PLONGÉE À PROXIMITÉ