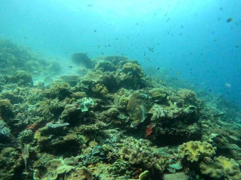
Yenbuba Jetty

★★★★☆ (3,270)

5 minutes away from the closest dive center, easy slope with artificial and coral reef, entering water near to the jetty, mild current, easy for beginners.

Spade fish, black tip shark, white tip shark, green turtle, hawkbill turtle, angelfish, snapper, grouper.

Dive Activity

Potential Wildlife Sightings

Wildlife Sightings are Based on User Generated Content

Hawksbill Turtle

Hawksbill Turtle

396 Sightings
J
30
F
24
M
31
A
35
M
38
J
11
J
24
A
46
S
45
O
44
N
41
D
27

The image shown is a representative illustration and does not depict every individual animal in this category.

Total number of species approx.: 27

Barracuda

Barracuda

303 Sightings
J
17
F
33
M
28
A
23
M
18
J
13
J
22
A
39
S
41
O
29
N
21
D
19

The image shown is a representative illustration and does not depict every individual animal in this category.

Total number of species approx.: 600

Wrasse

Wrasse

243 Sightings
J
22
F
21
M
18
A
17
M
20
J
0
J
15
A
23
S
40
O
27
N
17
D
23
Green Turtle

Green Turtle

182 Sightings
J
21
F
14
M
14
A
11
M
14
J
10
J
0
A
17
S
25
O
25
N
21
D
10

The image shown is a representative illustration and does not depict every individual animal in this category.

Total number of species approx.: 200

Moray Eel

Moray Eel

155 Sightings
J
17
F
0
M
18
A
10
M
13
J
0
J
10
A
15
S
21
O
19
N
22
D
10

The image shown is a representative illustration and does not depict every individual animal in this category.

Total number of species approx.: 300

Octopus

Octopus

74 Sightings
J
12
F
17
M
21
A
0
M
0
J
0
J
0
A
13
S
11
O
0
N
0
D
0
Blacktip Reef Shark

Blacktip Reef Shark

466 Sightings
J
44
F
46
M
45
A
28
M
34
J
21
J
23
A
43
S
66
O
57
N
30
D
29

The image shown is a representative illustration and does not depict every individual animal in this category.

Total number of species approx.: 100

Parrotfish

Parrotfish

384 Sightings
J
31
F
34
M
33
A
25
M
31
J
13
J
16
A
47
S
63
O
34
N
30
D
27

The image shown is a representative illustration and does not depict every individual animal in this category.

Total number of species approx.: 150

Sweetlips and Grunts

Sweetlips and Grunts

375 Sightings
J
32
F
35
M
38
A
27
M
30
J
11
J
22
A
45
S
51
O
31
N
27
D
26

The image shown is a representative illustration and does not depict every individual animal in this category.

Total number of species approx.: 28

Clownfish

Clownfish

363 Sightings
J
32
F
41
M
35
A
24
M
28
J
10
J
17
A
44
S
44
O
38
N
26
D
24

The image shown is a representative illustration and does not depict every individual animal in this category.

Total number of species approx.: 90

Angelfish

Angelfish

329 Sightings
J
25
F
27
M
28
A
19
M
28
J
13
J
21
A
42
S
45
O
29
N
23
D
29

The image shown is a representative illustration and does not depict every individual animal in this category.

Total number of species approx.: 130

Pufferfish

Pufferfish

326 Sightings
J
23
F
34
M
31
A
26
M
27
J
14
J
15
A
38
S
44
O
30
N
26
D
18

The image shown is a representative illustration and does not depict every individual animal in this category.

Total number of species approx.: 130

Butterfly Fish

Butterfly Fish

324 Sightings
J
22
F
31
M
27
A
21
M
24
J
9
J
19
A
42
S
51
O
25
N
26
D
27

The image shown is a representative illustration and does not depict every individual animal in this category.

Total number of species approx.: 40

Triggerfish

Triggerfish

308 Sightings
J
20
F
31
M
26
A
23
M
28
J
12
J
15
A
39
S
41
O
26
N
27
D
20

The image shown is a representative illustration and does not depict every individual animal in this category.

Total number of species approx.: 8

Bannerfish

Bannerfish

271 Sightings
J
18
F
26
M
19
A
19
M
29
J
15
J
16
A
25
S
38
O
23
N
21
D
22
Wobbegong

Wobbegong

270 Sightings
J
24
F
27
M
24
A
18
M
21
J
12
J
15
A
22
S
24
O
15
N
32
D
36

The image shown is a representative illustration and does not depict every individual animal in this category.

Total number of species approx.: 250

Grouper/Basslets

Grouper/Basslets

269 Sightings
J
23
F
22
M
34
A
15
M
17
J
9
J
21
A
32
S
33
O
21
N
18
D
24

The image shown is a representative illustration and does not depict every individual animal in this category.

Total number of species approx.: 85

Surgeonfish

Surgeonfish

196 Sightings
J
12
F
24
M
18
A
19
M
12
J
0
J
11
A
20
S
33
O
14
N
14
D
19

The image shown is a representative illustration and does not depict every individual animal in this category.

Total number of species approx.: 3000

Nudibranch

Nudibranch

195 Sightings
J
24
F
17
M
21
A
15
M
13
J
7
J
11
A
12
S
28
O
11
N
22
D
14

The image shown is a representative illustration and does not depict every individual animal in this category.

Total number of species approx.: 110

Snapper

Snapper

161 Sightings
J
15
F
20
M
17
A
11
M
13
J
0
J
11
A
23
S
22
O
0
N
12
D
17

The image shown is a representative illustration and does not depict every individual animal in this category.

Total number of species approx.: 60

Soldierfish

Soldierfish

148 Sightings
J
11
F
23
M
13
A
11
M
17
J
0
J
11
A
14
S
16
O
10
N
10
D
12

The image shown is a representative illustration and does not depict every individual animal in this category.

Total number of species approx.: 350

Damselfish

Damselfish

139 Sightings
J
12
F
14
M
10
A
14
M
10
J
0
J
10
A
24
S
19
O
0
N
13
D
13

The image shown is a representative illustration and does not depict every individual animal in this category.

Total number of species approx.: 40

Jackfish

Jackfish

130 Sightings
J
18
F
17
M
17
A
12
M
0
J
0
J
9
A
17
S
19
O
10
N
0
D
11

The image shown is a representative illustration and does not depict every individual animal in this category.

Total number of species approx.: 3400

Shrimp

Shrimp

101 Sightings
J
13
F
12
M
14
A
12
M
10
J
0
J
0
A
0
S
18
O
11
N
11
D
0

The image shown is a representative illustration and does not depict every individual animal in this category.

Total number of species approx.: 25

Boxfish

Boxfish

83 Sightings
J
0
F
10
M
14
A
0
M
0
J
0
J
0
A
17
S
13
O
14
N
15
D
0

The image shown is a representative illustration and does not depict every individual animal in this category.

Total number of species approx.: 3

Trumpetfish

Trumpetfish

80 Sightings
J
0
F
13
M
11
A
14
M
11
J
0
J
0
A
15
S
16
O
0
N
0
D
0

The image shown is a representative illustration and does not depict every individual animal in this category.

Total number of species approx.: 12

Lionfish

Lionfish

65 Sightings
J
14
F
10
M
18
A
0
M
0
J
0
J
0
A
12
S
11
O
0
N
0
D
0

The image shown is a representative illustration and does not depict every individual animal in this category.

Total number of species approx.: 90

Goatfish

Goatfish

63 Sightings
J
0
F
21
M
13
A
0
M
0
J
0
J
0
A
15
S
0
O
0
N
0
D
14

The image shown is a representative illustration and does not depict every individual animal in this category.

Total number of species approx.: 7000

Crab

Crab

48 Sightings
J
10
F
0
M
0
A
13
M
0
J
0
J
0
A
0
S
15
O
0
N
10
D
0

Dive Centers Catering This Dive Site

Dive Sites Nearby