Cave Site

★★★★☆ (653)

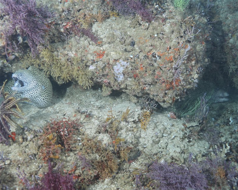
This is the deepest dive site in BK, you can reach 32 m at the bottom of the wall. It can be dived in various ways, since the place is pretty big. If the weather is nice, the best option is to do a drift dive right shoulder, from out- to inside.

This dive site is the perfect place for biodiversity from rays to nudies, normally a lot of morays are in available all over the dive site.

Dive Activity

Potential Wildlife Sightings

Wildlife Sightings are Based on User Generated Content

The image shown is a representative illustration and does not depict every individual animal in this category.

Total number of species approx.: 200

Moray Eel

Moray Eel

90 Sightings
J
3
F
4
M
8
A
11
M
14
J
0
J
3
A
2
S
7
O
9
N
20
D
9
Green Turtle

Green Turtle

30 Sightings
J
3
F
2
M
5
A
8
M
4
J
4
J
0
A
0
S
0
O
4
N
0
D
0

The image shown is a representative illustration and does not depict every individual animal in this category.

Total number of species approx.: 12

Lionfish

Lionfish

56 Sightings
J
3
F
2
M
6
A
5
M
11
J
0
J
3
A
0
S
7
O
8
N
11
D
0

The image shown is a representative illustration and does not depict every individual animal in this category.

Total number of species approx.: 28

Clownfish

Clownfish

54 Sightings
J
3
F
0
M
5
A
3
M
12
J
0
J
4
A
0
S
5
O
7
N
15
D
0

The image shown is a representative illustration and does not depict every individual animal in this category.

Total number of species approx.: 90

Angelfish

Angelfish

47 Sightings
J
0
F
2
M
3
A
3
M
10
J
0
J
2
A
0
S
5
O
8
N
14
D
0

The image shown is a representative illustration and does not depict every individual animal in this category.

Total number of species approx.: 100

Parrotfish

Parrotfish

47 Sightings
J
0
F
3
M
6
A
3
M
12
J
0
J
0
A
0
S
6
O
6
N
7
D
4

The image shown is a representative illustration and does not depict every individual animal in this category.

Total number of species approx.: 130

Pufferfish

Pufferfish

32 Sightings
J
0
F
0
M
0
A
3
M
9
J
0
J
3
A
0
S
4
O
6
N
7
D
0

The image shown is a representative illustration and does not depict every individual animal in this category.

Total number of species approx.: 25

Boxfish

Boxfish

32 Sightings
J
0
F
2
M
0
A
0
M
10
J
0
J
2
A
0
S
0
O
7
N
11
D
0

The image shown is a representative illustration and does not depict every individual animal in this category.

Total number of species approx.: 130

Butterfly Fish

Butterfly Fish

30 Sightings
J
0
F
0
M
0
A
0
M
9
J
0
J
0
A
0
S
4
O
7
N
10
D
0

The image shown is a representative illustration and does not depict every individual animal in this category.

Total number of species approx.: 40

Triggerfish

Triggerfish

28 Sightings
J
0
F
2
M
0
A
0
M
10
J
0
J
0
A
0
S
3
O
6
N
7
D
0

The image shown is a representative illustration and does not depict every individual animal in this category.

Total number of species approx.: 3000

Nudibranch

Nudibranch

18 Sightings
J
0
F
0
M
4
A
4
M
0
J
0
J
0
A
0
S
4
O
0
N
6
D
0

The image shown is a representative illustration and does not depict every individual animal in this category.

Total number of species approx.: 85

Surgeonfish

Surgeonfish

17 Sightings
J
0
F
0
M
3
A
0
M
6
J
0
J
0
A
0
S
0
O
0
N
8
D
0

The image shown is a representative illustration and does not depict every individual animal in this category.

Total number of species approx.: 90

Goatfish

Goatfish

14 Sightings
J
0
F
2
M
0
A
0
M
6
J
0
J
0
A
0
S
0
O
0
N
6
D
0

The image shown is a representative illustration and does not depict every individual animal in this category.

Total number of species approx.: 20

Porcupinefish

Porcupinefish

12 Sightings
J
0
F
2
M
0
A
0
M
3
J
0
J
0
A
0
S
0
O
0
N
7
D
0

The image shown is a representative illustration and does not depict every individual animal in this category.

Total number of species approx.: 8

Bannerfish

Bannerfish

11 Sightings
J
0
F
0
M
0
A
0
M
7
J
0
J
0
A
0
S
0
O
4
N
0
D
0

The image shown is a representative illustration and does not depict every individual animal in this category.

Total number of species approx.: 80

Stingrays

Stingrays

8 Sightings
J
0
F
2
M
0
A
0
M
6
J
0
J
0
A
0
S
0
O
0
N
0
D
0
Panther Moray Eel (Dragon Eel)

Panther Moray Eel (Dragon Eel)

7 Sightings
J
0
F
0
M
0
A
0
M
7
J
0
J
0
A
0
S
0
O
0
N
0
D
0

The image shown is a representative illustration and does not depict every individual animal in this category.

Total number of species approx.: 150

Sweetlips and Grunts

Sweetlips and Grunts

5 Sightings
J
0
F
0
M
0
A
0
M
5
J
0
J
0
A
0
S
0
O
0
N
0
D
0

The image shown is a representative illustration and does not depict every individual animal in this category.

Total number of species approx.: 120

Cuttlefish

Cuttlefish

5 Sightings
J
0
F
0
M
0
A
0
M
3
J
0
J
2
A
0
S
0
O
0
N
0
D
0

Dive Centers Catering This Dive Site

Dive Sites Nearby