G Spot

★★★★★ (57)

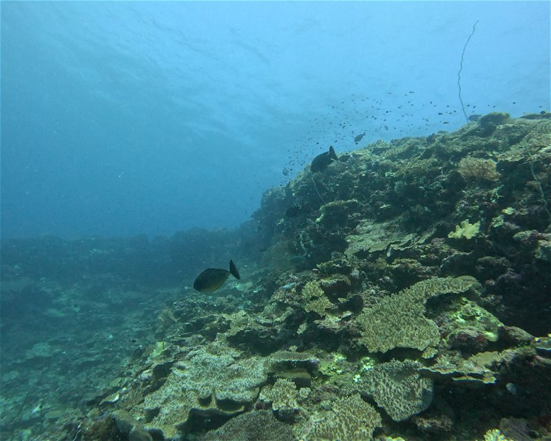
Twenty min boat ride west of Papatura lies G spot. This site is a bommie at 5 meters down to 30+ meters. This site is exposed so experiences large swell and current. When rough it can be hard to spot so is best on a sunny day.

The bommie is covered in colourful anemone’s, an underwater city of clownfish. Large fish species like barracuda often swim by as well as turtles. This site is plentiful in sea life.

Dive Activity

Potential Wildlife Sightings

Wildlife Sightings are Based on User Generated Content

The image shown is a representative illustration and does not depict every individual animal in this category.

Total number of species approx.: 200

Moray Eel

Moray Eel

5 Sightings
J
2
F
0
M
1
A
2
M
0
J
0
J
0
A
0
S
0
O
0
N
0
D
0

The image shown is a representative illustration and does not depict every individual animal in this category.

Total number of species approx.: 27

Barracuda

Barracuda

4 Sightings
J
1
F
0
M
0
A
1
M
0
J
0
J
0
A
0
S
0
O
2
N
0
D
0

The image shown is a representative illustration and does not depict every individual animal in this category.

Total number of species approx.: 600

Wrasse

Wrasse

4 Sightings
J
1
F
1
M
0
A
1
M
0
J
0
J
0
A
0
S
0
O
1
N
0
D
0
Hawksbill Turtle

Hawksbill Turtle

3 Sightings
J
0
F
0
M
0
A
0
M
1
J
0
J
0
A
1
S
1
O
0
N
0
D
0
Green Turtle

Green Turtle

2 Sightings
J
0
F
0
M
0
A
1
M
0
J
0
J
0
A
0
S
0
O
1
N
0
D
0

The image shown is a representative illustration and does not depict every individual animal in this category.

Total number of species approx.: 25

Eagle Ray

Eagle Ray

1 Sightings
J
0
F
0
M
0
A
0
M
0
J
0
J
1
A
0
S
0
O
0
N
0
D
0

The image shown is a representative illustration and does not depict every individual animal in this category.

Total number of species approx.: 100

Parrotfish

Parrotfish

9 Sightings
J
1
F
1
M
1
A
2
M
0
J
0
J
0
A
1
S
0
O
1
N
0
D
2

The image shown is a representative illustration and does not depict every individual animal in this category.

Total number of species approx.: 90

Angelfish

Angelfish

8 Sightings
J
1
F
0
M
2
A
2
M
0
J
0
J
0
A
1
S
0
O
1
N
0
D
1

The image shown is a representative illustration and does not depict every individual animal in this category.

Total number of species approx.: 28

Clownfish

Clownfish

8 Sightings
J
1
F
0
M
0
A
1
M
0
J
0
J
1
A
1
S
1
O
1
N
0
D
2

The image shown is a representative illustration and does not depict every individual animal in this category.

Total number of species approx.: 130

Butterfly Fish

Butterfly Fish

7 Sightings
J
1
F
0
M
1
A
2
M
0
J
0
J
0
A
1
S
0
O
1
N
0
D
1

The image shown is a representative illustration and does not depict every individual animal in this category.

Total number of species approx.: 40

Triggerfish

Triggerfish

7 Sightings
J
1
F
1
M
1
A
1
M
0
J
0
J
0
A
1
S
0
O
0
N
0
D
2
Grey Reef Shark

Grey Reef Shark

6 Sightings
J
1
F
0
M
0
A
1
M
0
J
2
J
0
A
0
S
1
O
1
N
0
D
0

The image shown is a representative illustration and does not depict every individual animal in this category.

Total number of species approx.: 150

Sweetlips and Grunts

Sweetlips and Grunts

6 Sightings
J
1
F
1
M
0
A
1
M
0
J
0
J
0
A
1
S
0
O
0
N
0
D
2

The image shown is a representative illustration and does not depict every individual animal in this category.

Total number of species approx.: 85

Surgeonfish

Surgeonfish

4 Sightings
J
1
F
1
M
0
A
1
M
0
J
0
J
0
A
1
S
0
O
0
N
0
D
0

The image shown is a representative illustration and does not depict every individual animal in this category.

Total number of species approx.: 2

Nurse Shark

Nurse Shark

3 Sightings
J
1
F
0
M
0
A
0
M
0
J
0
J
0
A
1
S
1
O
0
N
0
D
0

The image shown is a representative illustration and does not depict every individual animal in this category.

Total number of species approx.: 12

Lionfish

Lionfish

3 Sightings
J
0
F
0
M
1
A
1
M
0
J
0
J
0
A
0
S
0
O
1
N
0
D
0

The image shown is a representative illustration and does not depict every individual animal in this category.

Total number of species approx.: 15

Garfish

Garfish

3 Sightings
J
1
F
0
M
1
A
0
M
0
J
0
J
0
A
0
S
0
O
1
N
0
D
0

The image shown is a representative illustration and does not depict every individual animal in this category.

Total number of species approx.: 130

Pufferfish

Pufferfish

3 Sightings
J
1
F
1
M
0
A
0
M
0
J
0
J
0
A
0
S
0
O
0
N
0
D
1
Whitetip Reef Shark

Whitetip Reef Shark

2 Sightings
J
1
F
0
M
0
A
0
M
0
J
0
J
0
A
1
S
0
O
0
N
0
D
0

The image shown is a representative illustration and does not depict every individual animal in this category.

Total number of species approx.: 110

Snapper

Snapper

2 Sightings
J
0
F
0
M
1
A
1
M
0
J
0
J
0
A
0
S
0
O
0
N
0
D
0

The image shown is a representative illustration and does not depict every individual animal in this category.

Total number of species approx.: 60

Squirrelfish

Squirrelfish

2 Sightings
J
0
F
1
M
0
A
1
M
0
J
0
J
0
A
0
S
0
O
0
N
0
D
0

The image shown is a representative illustration and does not depict every individual animal in this category.

Total number of species approx.: 25

Boxfish

Boxfish

2 Sightings
J
1
F
0
M
0
A
1
M
0
J
0
J
0
A
0
S
0
O
0
N
0
D
0

The image shown is a representative illustration and does not depict every individual animal in this category.

Total number of species approx.: 55

Lobster

Lobster

2 Sightings
J
1
F
0
M
0
A
0
M
0
J
0
J
0
A
1
S
0
O
0
N
0
D
0
Blacktip Reef Shark

Blacktip Reef Shark

1 Sightings
J
0
F
0
M
1
A
0
M
0
J
0
J
0
A
0
S
0
O
0
N
0
D
0

The image shown is a representative illustration and does not depict every individual animal in this category.

Total number of species approx.: 2

Tarpon

Tarpon

1 Sightings
J
0
F
0
M
0
A
0
M
0
J
0
J
0
A
0
S
0
O
1
N
0
D
0

The image shown is a representative illustration and does not depict every individual animal in this category.

Total number of species approx.: 40

Jackfish

Jackfish

1 Sightings
J
0
F
0
M
0
A
1
M
0
J
0
J
0
A
0
S
0
O
0
N
0
D
0

The image shown is a representative illustration and does not depict every individual animal in this category.

Total number of species approx.: 250

Scorpionfish

Scorpionfish

1 Sightings
J
0
F
1
M
0
A
0
M
0
J
0
J
0
A
0
S
0
O
0
N
0
D
0

The image shown is a representative illustration and does not depict every individual animal in this category.

Total number of species approx.: 60

Soldierfish

Soldierfish

1 Sightings
J
0
F
0
M
0
A
1
M
0
J
0
J
0
A
0
S
0
O
0
N
0
D
0

The image shown is a representative illustration and does not depict every individual animal in this category.

Total number of species approx.: 350

Damselfish

Damselfish

1 Sightings
J
1
F
0
M
0
A
0
M
0
J
0
J
0
A
0
S
0
O
0
N
0
D
0

The image shown is a representative illustration and does not depict every individual animal in this category.

Total number of species approx.: 3

Trumpetfish

Trumpetfish

1 Sightings
J
0
F
0
M
0
A
0
M
0
J
0
J
0
A
0
S
0
O
1
N
0
D
0

The image shown is a representative illustration and does not depict every individual animal in this category.

Total number of species approx.: 8

Bannerfish

Bannerfish

1 Sightings
J
0
F
0
M
1
A
0
M
0
J
0
J
0
A
0
S
0
O
0
N
0
D
0

The image shown is a representative illustration and does not depict every individual animal in this category.

Total number of species approx.: 80

Emperor

Emperor

1 Sightings
J
0
F
0
M
0
A
0
M
0
J
0
J
0
A
0
S
0
O
1
N
0
D
0

The image shown is a representative illustration and does not depict every individual animal in this category.

Total number of species approx.: 3400

Shrimp

Shrimp

1 Sightings
J
0
F
0
M
0
A
0
M
0
J
0
J
0
A
1
S
0
O
0
N
0
D
0

The image shown is a representative illustration and does not depict every individual animal in this category.

Total number of species approx.: 60

Spiny Lobster

Spiny Lobster

1 Sightings
J
0
F
0
M
0
A
1
M
0
J
0
J
0
A
0
S
0
O
0
N
0
D
0

The image shown is a representative illustration and does not depict every individual animal in this category.

Total number of species approx.: 7000

Crab

Crab

1 Sightings
J
0
F
0
M
0
A
1
M
0
J
0
J
0
A
0
S
0
O
0
N
0
D
0

The image shown is a representative illustration and does not depict every individual animal in this category.

Total number of species approx.: 3000

Nudibranch

Nudibranch

1 Sightings
J
1
F
0
M
0
A
0
M
0
J
0
J
0
A
0
S
0
O
0
N
0
D
0
Caribbean Reef Shark

Caribbean Reef Shark

1 Sightings
J
0
F
0
M
0
A
0
M
0
J
0
J
0
A
0
S
1
O
0
N
0
D
0

Dive Centers Catering This Dive Site

Dive Sites Nearby