Jackson's Bar

★★★★★ (573)

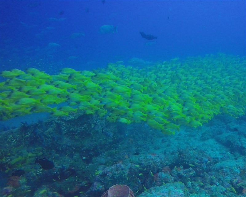
Along with Dixon’s Pinnacles and Johnny’s Gorge, it completes the holy trinity of must-see dive sites around Havelock. A truly spectacular dive! Lots of schooling fish and hunting action.

Its unique location and the strong currents that run perpendicular to the site makes it a regular haunt for pelagics and divers who don’t mind a challenging dive.

Dive Activity

Potential Wildlife Sightings

Wildlife Sightings are Based on User Generated Content

The image shown is a representative illustration and does not depict every individual animal in this category.

Total number of species approx.: 27

Barracuda

Barracuda

138 Sightings
J
6
F
12
M
40
A
35
M
7
J
0
J
11
A
3
S
5
O
8
N
7
D
4

The image shown is a representative illustration and does not depict every individual animal in this category.

Total number of species approx.: 200

Moray Eel

Moray Eel

125 Sightings
J
5
F
12
M
34
A
34
M
2
J
0
J
13
A
5
S
3
O
9
N
5
D
3

The image shown is a representative illustration and does not depict every individual animal in this category.

Total number of species approx.: 600

Wrasse

Wrasse

56 Sightings
J
2
F
5
M
20
A
9
M
4
J
0
J
6
A
1
S
2
O
3
N
4
D
0
Green Turtle

Green Turtle

13 Sightings
J
0
F
5
M
0
A
0
M
2
J
0
J
2
A
0
S
0
O
4
N
0
D
0

The image shown is a representative illustration and does not depict every individual animal in this category.

Total number of species approx.: 90

Angelfish

Angelfish

117 Sightings
J
6
F
10
M
35
A
26
M
6
J
0
J
10
A
3
S
3
O
10
N
6
D
2

The image shown is a representative illustration and does not depict every individual animal in this category.

Total number of species approx.: 250

Grouper/Basslets

Grouper/Basslets

106 Sightings
J
6
F
8
M
26
A
24
M
6
J
0
J
10
A
6
S
3
O
9
N
5
D
3

The image shown is a representative illustration and does not depict every individual animal in this category.

Total number of species approx.: 110

Snapper

Snapper

102 Sightings
J
5
F
5
M
37
A
24
M
7
J
0
J
10
A
3
S
2
O
7
N
0
D
2

The image shown is a representative illustration and does not depict every individual animal in this category.

Total number of species approx.: 150

Sweetlips and Grunts

Sweetlips and Grunts

90 Sightings
J
5
F
8
M
29
A
22
M
4
J
0
J
5
A
3
S
2
O
3
N
6
D
3

The image shown is a representative illustration and does not depict every individual animal in this category.

Total number of species approx.: 8

Bannerfish

Bannerfish

82 Sightings
J
4
F
8
M
27
A
18
M
4
J
0
J
9
A
2
S
1
O
3
N
4
D
2

The image shown is a representative illustration and does not depict every individual animal in this category.

Total number of species approx.: 80

Stingrays

Stingrays

80 Sightings
J
5
F
0
M
26
A
27
M
0
J
0
J
15
A
0
S
2
O
5
N
0
D
0

The image shown is a representative illustration and does not depict every individual animal in this category.

Total number of species approx.: 40

Triggerfish

Triggerfish

75 Sightings
J
5
F
8
M
26
A
15
M
5
J
0
J
9
A
2
S
2
O
3
N
0
D
0

The image shown is a representative illustration and does not depict every individual animal in this category.

Total number of species approx.: 28

Clownfish

Clownfish

66 Sightings
J
4
F
8
M
24
A
14
M
4
J
0
J
5
A
2
S
2
O
3
N
0
D
0

The image shown is a representative illustration and does not depict every individual animal in this category.

Total number of species approx.: 130

Butterfly Fish

Butterfly Fish

63 Sightings
J
4
F
4
M
26
A
13
M
5
J
0
J
7
A
2
S
2
O
0
N
0
D
0

The image shown is a representative illustration and does not depict every individual animal in this category.

Total number of species approx.: 85

Surgeonfish

Surgeonfish

63 Sightings
J
3
F
4
M
20
A
12
M
4
J
0
J
7
A
2
S
2
O
4
N
5
D
0

The image shown is a representative illustration and does not depict every individual animal in this category.

Total number of species approx.: 100

Parrotfish

Parrotfish

61 Sightings
J
3
F
8
M
18
A
14
M
6
J
0
J
6
A
2
S
1
O
3
N
0
D
0

The image shown is a representative illustration and does not depict every individual animal in this category.

Total number of species approx.: 40

Jackfish

Jackfish

53 Sightings
J
2
F
3
M
18
A
13
M
3
J
0
J
8
A
3
S
1
O
0
N
0
D
2

The image shown is a representative illustration and does not depict every individual animal in this category.

Total number of species approx.: 12

Lionfish

Lionfish

47 Sightings
J
3
F
5
M
12
A
15
M
4
J
0
J
3
A
1
S
0
O
0
N
4
D
0

The image shown is a representative illustration and does not depict every individual animal in this category.

Total number of species approx.: 15

Tuna

Tuna

42 Sightings
J
4
F
0
M
20
A
8
M
0
J
0
J
3
A
0
S
1
O
4
N
0
D
2

The image shown is a representative illustration and does not depict every individual animal in this category.

Total number of species approx.: 350

Damselfish

Damselfish

41 Sightings
J
3
F
0
M
16
A
12
M
3
J
0
J
4
A
2
S
1
O
0
N
0
D
0

The image shown is a representative illustration and does not depict every individual animal in this category.

Total number of species approx.: 90

Goatfish

Goatfish

32 Sightings
J
3
F
4
M
12
A
7
M
4
J
0
J
2
A
0
S
0
O
0
N
0
D
0

The image shown is a representative illustration and does not depict every individual animal in this category.

Total number of species approx.: 130

Pufferfish

Pufferfish

26 Sightings
J
3
F
3
M
9
A
7
M
2
J
0
J
0
A
2
S
0
O
0
N
0
D
0

The image shown is a representative illustration and does not depict every individual animal in this category.

Total number of species approx.: 60

Soldierfish

Soldierfish

15 Sightings
J
0
F
0
M
9
A
0
M
4
J
0
J
0
A
1
S
1
O
0
N
0
D
0
Moon Jellyfish

Moon Jellyfish

15 Sightings
J
0
F
0
M
0
A
13
M
2
J
0
J
0
A
0
S
0
O
0
N
0
D
0

The image shown is a representative illustration and does not depict every individual animal in this category.

Total number of species approx.: 80

Emperor

Emperor

11 Sightings
J
0
F
0
M
8
A
0
M
0
J
0
J
3
A
0
S
0
O
0
N
0
D
0
Banded Sea Krait

Banded Sea Krait

8 Sightings
J
0
F
0
M
0
A
8
M
0
J
0
J
0
A
0
S
0
O
0
N
0
D
0
Garibaldi Damselfish

Garibaldi Damselfish

7 Sightings
J
0
F
0
M
7
A
0
M
0
J
0
J
0
A
0
S
0
O
0
N
0
D
0

Dive Centers Catering This Dive Site

Dive Sites Nearby