Explore Andaman Islands

The Andaman and Nicobar Islands offer a unique diving experience, characterized by pristine waters, diverse marine life, and breathtaking underwater landscapes. Located in the Bay of Bengal, these islands are a paradise for divers, providing numerous dive sites around Havelock and Neil Islands. The vibrant coral reefs are home to a plethora of marine species, from majestic manta rays to playful dolphins and colorful reef fish. With a variety of environments such as dramatic walls and coral gardens, divers can explore the underwater world in all its glory.

One of the most appealing aspects of diving in the Andamans is the opportunity to dive amidst well-preserved ecosystems. The clear, warm waters provide excellent visibility, making it ideal for both novice and experienced divers. Whether you prefer shore dives or the adventure of a liveaboard, there is something for everyone. Seasonal features such as the calm seas from December to May enhance the experience, offering uninterrupted explorations of this underwater paradise. These islands not only offer a rich tapestry of marine life but also a connection to one of the world's most fascinating and protected indigenous cultures, making each dive trip both enriching and memorable.

Top Regions to Explore

Dive Activity

Diving in Andaman Islands

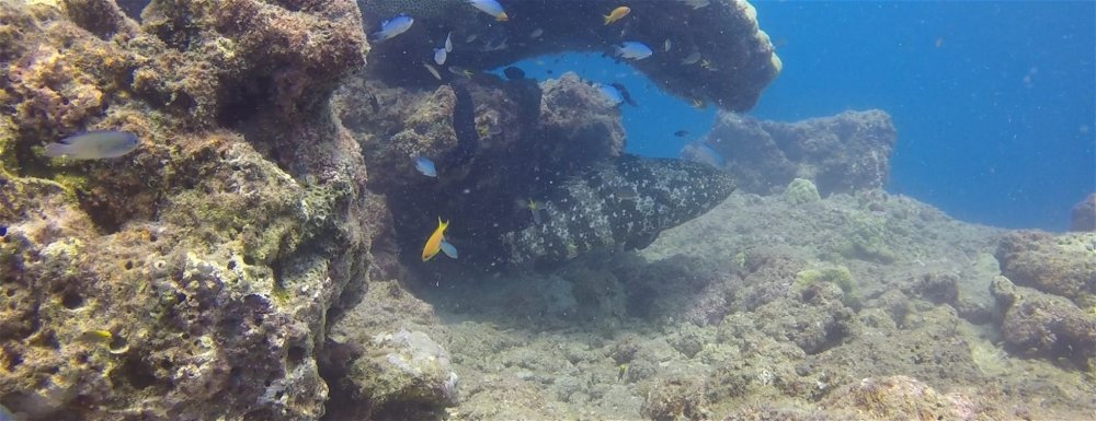
The Andaman and Nicobar Islands offer a plethora of mesmerizing dive sites, each providing unique underwater experiences for both novice and seasoned divers. One notable site is the "MV Mars," a fascinating wreck dive popular for its vibrant marine life and historical intrigue. This dive suits those who relish exploring the remnants of sunken vessels, witnessing how nature has reclaimed them. Shore dives around Havelock Island, such as Elephant Beach, are celebrated for their accessible coral gardens teeming with colorful fish and other marine creatures. The Islands also offer unique experiences like night dives, where divers can observe bioluminescent plankton and nocturnal marine life behaviors. Whether choosing shore or liveaboard diving, enthusiasts have numerous options to explore the underwater beauty of these stunning islands.

Top Wildlife Sightings in Andaman Islands

The Andaman and Nicobar Islands are a vibrant marine haven, teeming with diverse sea life. Commonly encountered reef fish include colorful parrotfish, butterflyfish, and groupers. These species thrive in the warm, clear waters surrounding the islands, making them a staple sight for divers. The vibrant coral reefs create a rich habitat, supporting a variety of marine creatures year-round. Seasonal highlights enhance the underwater experience. From December to April, divers have a good chance of spotting majestic manta rays and green sea turtles. Sharks, such as reef and hammerhead sharks, are often observed during these months, particularly around deeper dive sites like Barren Island and Narcondam. The islands offer a dynamic ecosystem, promising a rewarding dive experience for marine enthusiasts.

Wildlife Sightings are Based on User Generated Content

The image shown is a representative illustration and does not depict every individual animal in this category.

Total number of species approx.: 600

Wrasse

Wrasse

2.1k Sightings
J
134
F
189
M
382
A
357
M
163
J
90
J
50
A
49
S
64
O
184
N
229
D
226

The image shown is a representative illustration and does not depict every individual animal in this category.

Total number of species approx.: 200

Moray Eel

Moray Eel

1.8k Sightings
J
146
F
197
M
324
A
325
M
141
J
50
J
59
A
58
S
59
O
143
N
150
D
153

The image shown is a representative illustration and does not depict every individual animal in this category.

Total number of species approx.: 27

Barracuda

Barracuda

1.8k Sightings
J
80
F
171
M
389
A
351
M
151
J
41
J
52
A
47
S
49
O
120
N
175
D
165

The image shown is a representative illustration and does not depict every individual animal in this category.

Total number of species approx.: 300

Octopus

Octopus

900 Sightings
J
51
F
99
M
171
A
179
M
90
J
30
J
22
A
14
S
29
O
47
N
90
D
78

The image shown is a representative illustration and does not depict every individual animal in this category.

Total number of species approx.: 28

Clownfish

Clownfish

6.7k Sightings
J
461
F
611
M
1k
A
1k
M
581
J
251
J
186
A
211
S
279
O
655
N
766
D
702

The image shown is a representative illustration and does not depict every individual animal in this category.

Total number of species approx.: 100

Parrotfish

Parrotfish

5.7k Sightings
J
486
F
547
M
864
A
850
M
459
J
218
J
153
A
159
S
229
O
486
N
628
D
640

The image shown is a representative illustration and does not depict every individual animal in this category.

Total number of species approx.: 90

Angelfish

Angelfish

5.7k Sightings
J
434
F
514
M
877
A
885
M
457
J
230
J
147
A
165
S
217
O
543
N
594
D
604

The image shown is a representative illustration and does not depict every individual animal in this category.

Total number of species approx.: 130

Butterfly Fish

Butterfly Fish

5.5k Sightings
J
356
F
519
M
843
A
857
M
457
J
227
J
150
A
158
S
239
O
505
N
637
D
597

The image shown is a representative illustration and does not depict every individual animal in this category.

Total number of species approx.: 110

Snapper

Snapper

4.7k Sightings
J
373
F
366
M
727
A
789
M
365
J
192
J
145
A
137
S
170
O
433
N
518
D
523

The image shown is a representative illustration and does not depict every individual animal in this category.

Total number of species approx.: 40

Triggerfish

Triggerfish

4.2k Sightings
J
286
F
374
M
611
A
672
M
330
J
179
J
119
A
101
S
176
O
388
N
453
D
465

The image shown is a representative illustration and does not depict every individual animal in this category.

Total number of species approx.: 85

Surgeonfish

Surgeonfish

4k Sightings
J
260
F
343
M
614
A
646
M
298
J
167
J
128
A
104
S
182
O
350
N
448
D
450

The image shown is a representative illustration and does not depict every individual animal in this category.

Total number of species approx.: 8

Bannerfish

Bannerfish

3.9k Sightings
J
286
F
372
M
620
A
631
M
288
J
159
J
118
A
123
S
145
O
328
N
398
D
402

The image shown is a representative illustration and does not depict every individual animal in this category.

Total number of species approx.: 250

Grouper/Basslets

Grouper/Basslets

3.6k Sightings
J
292
F
328
M
537
A
614
M
227
J
151
J
108
A
114
S
128
O
355
N
383
D
365

The image shown is a representative illustration and does not depict every individual animal in this category.

Total number of species approx.: 350

Damselfish

Damselfish

3.5k Sightings
J
218
F
307
M
543
A
560
M
276
J
147
J
112
A
97
S
132
O
310
N
408
D
396

The image shown is a representative illustration and does not depict every individual animal in this category.

Total number of species approx.: 150

Sweetlips and Grunts

Sweetlips and Grunts

3.3k Sightings
J
238
F
286
M
546
A
590
M
217
J
145
J
102
A
98
S
136
O
287
N
311
D
310

The image shown is a representative illustration and does not depict every individual animal in this category.

Total number of species approx.: 12

Lionfish

Lionfish

3.2k Sightings
J
254
F
290
M
437
A
516
M
187
J
123
J
79
A
105
S
149
O
313
N
374
D
325

The image shown is a representative illustration and does not depict every individual animal in this category.

Total number of species approx.: 90

Goatfish

Goatfish

2.3k Sightings
J
145
F
205
M
329
A
393
M
199
J
119
J
94
A
70
S
100
O
167
N
220
D
231

The image shown is a representative illustration and does not depict every individual animal in this category.

Total number of species approx.: 130

Pufferfish

Pufferfish

2.1k Sightings
J
194
F
205
M
289
A
325
M
129
J
81
J
60
A
86
S
94
O
161
N
232
D
240

The image shown is a representative illustration and does not depict every individual animal in this category.

Total number of species approx.: 80

Stingrays

Stingrays

1.9k Sightings
J
165
F
181
M
319
A
411
M
122
J
48
J
62
A
31
S
59
O
162
N
159
D
171

The image shown is a representative illustration and does not depict every individual animal in this category.

Total number of species approx.: 40

Jackfish

Jackfish

1.9k Sightings
J
89
F
175
M
354
A
344
M
142
J
43
J
92
A
67
S
45
O
141
N
164
D
225

The image shown is a representative illustration and does not depict every individual animal in this category.

Total number of species approx.: 60

Soldierfish

Soldierfish

978 Sightings
J
22
F
81
M
179
A
187
M
90
J
50
J
58
A
54
S
38
O
39
N
84
D
96

The image shown is a representative illustration and does not depict every individual animal in this category.

Total number of species approx.: 250

Scorpionfish

Scorpionfish

850 Sightings
J
45
F
57
M
122
A
126
M
57
J
41
J
24
A
39
S
34
O
108
N
107
D
90
Moon Jellyfish

Moon Jellyfish

789 Sightings
J
0
F
3
M
96
A
373
M
223
J
37
J
1
A
4
S
4
O
13
N
15
D
20

The image shown is a representative illustration and does not depict every individual animal in this category.

Total number of species approx.: 3400

Shrimp

Shrimp

591 Sightings
J
31
F
53
M
108
A
115
M
75
J
34
J
16
A
19
S
14
O
37
N
69
D
20

The image shown is a representative illustration and does not depict every individual animal in this category.

Total number of species approx.: 25

Boxfish

Boxfish

551 Sightings
J
47
F
68
M
92
A
95
M
31
J
6
J
25
A
31
S
13
O
18
N
63
D
62

The image shown is a representative illustration and does not depict every individual animal in this category.

Total number of species approx.: 80

Emperor

Emperor

516 Sightings
J
12
F
26
M
129
A
136
M
67
J
18
J
37
A
14
S
11
O
18
N
24
D
24

The image shown is a representative illustration and does not depict every individual animal in this category.

Total number of species approx.: 3000

Nudibranch

Nudibranch

413 Sightings
J
9
F
55
M
50
A
70
M
51
J
8
J
28
A
31
S
9
O
34
N
61
D
7

The image shown is a representative illustration and does not depict every individual animal in this category.

Total number of species approx.: 15

Tuna

Tuna

359 Sightings
J
19
F
35
M
95
A
76
M
18
J
20
J
20
A
5
S
13
O
21
N
15
D
22

The best Months to dive in Andaman Islands

The Andaman and Nicobar Islands offer favorable diving conditions year-round, with seasonal variations. Water temperatures range from 27°C–30°C/81°F–86°F, providing comfortable diving experiences throughout the year. Visibility is generally excellent, ranging from 15 to 30 meters/49 to 98 feet, though it can be affected by weather conditions.

Diving is possible all year, but the best periods are from November to May, when the northeast monsoon ensures calmer seas and better visibility. During the southwest monsoon from June to September, winds and currents can affect dive conditions, reducing visibility and making certain sites less accessible. Planning dives during the calmer months is recommended for optimal experiences.

Dive Centers

Dive Sites