Explore Muğla
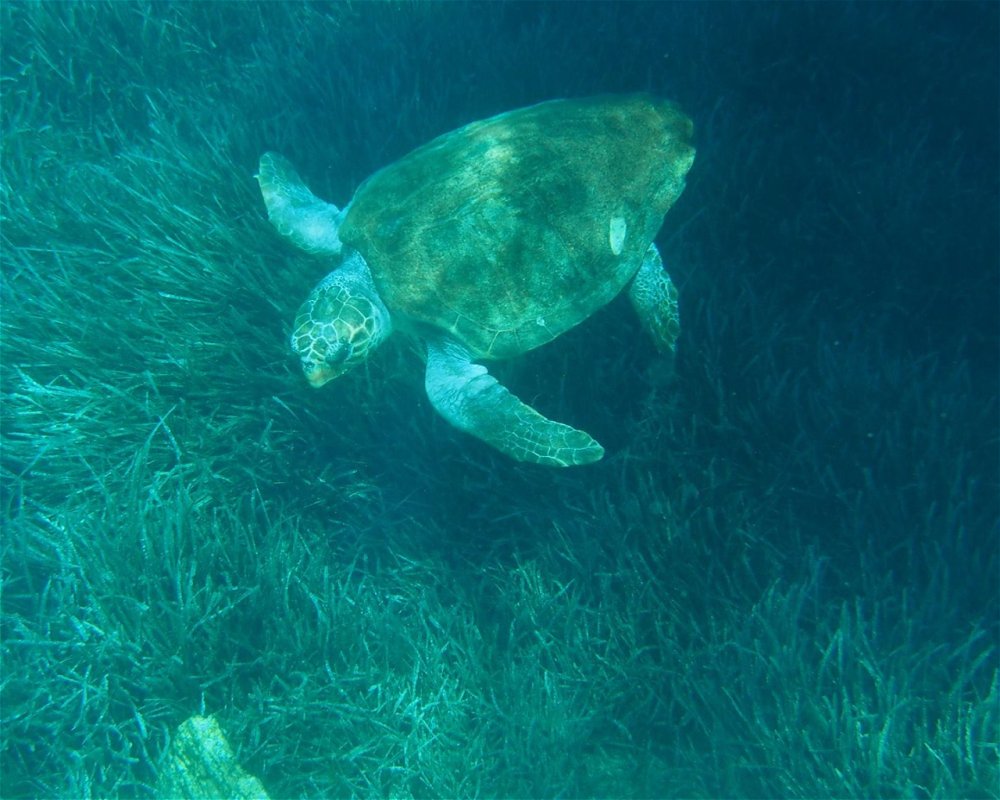
Muğla, a captivating region on Turkey's southwestern coast, offers a diving experience that seamlessly blends natural beauty with rich history. With its shores graced by the Mediterranean Sea, Muğla is a diver's paradise, boasting a diverse array of dive sites and marine life. The calm, warm waters invite exploration from April to November, with temperatures ranging from 18°C/64°F in April to a balmy 31°C/88°F in the peak of summer. Visibility ranges between 10 and 20 meters, ensuring clear views of the vibrant underwater world.
The region is dotted with dive centers and resorts, providing easy access to renowned locations like Fethiye, Bodrum, and Marmaris. Diving here offers something for everyone, from thrilling cavern and penetrable wreck dives to colorful reefs brimming with marine life. Historical artifacts lie scattered across the seabed, adding an intriguing element to the dives. Divers can choose from various styles, including liveaboards, day trips, or even shore dives, ensuring a tailored experience for every adventurer.
Places to Explore
Sarigerme
Sarigerme is a beach town located in the south west of Turkey, in the Muğla Region. Its coasts border on the Mediterranean Sea. There is just one dive centre in Sarigerme, but the guides here know the waters better than anyone. The dive sites off the coast are shallower and in calm waters, so the ideal location for dive courses or for relaxing dives to admire the high abundance of marine life here. If divers prefer liveaboards, there are also a few which visit this region. One of the highlights here are the caves; this region is home to some of the deepest marine caves in Turkey.
Oludeniz
Oludeniz is a resort village which lies in the Muğla Region on the south west coast of Turkey. This destination is known for its famous blue lagoon and the long stretch of white sandy beaches. The dive centres which dive here are located just outside Oludeniz. They offer dive courses in these calm waters as well as guided dives to the best spots. There are a variety of types of dives to be done including diving into history in the dive sites scattered with historical artefacts, steep drop offs and coral walls, caverns and canyons, reefs and more!
Marmaris
Marmaris is a resort town which lies in the Muğla Region, on the south west, Mediterranean coast of Turkey. This town is known for its turquoise waters, pebbly beaches and its bustling nightlife. There are multiple dive centres in Marmaris which have experienced guides to take divers to the best diving spots in the region. If divers prefer spending their diving holiday on a liveaboard, there are also some options for that here. This is an ideal location for experienced divers as well as novice divers and those wanting to take dive courses. Diving here is a combination of thrilling dives in caverns and tunnels, relaxing dives over the top of reefs or sandy bottoms and the chance to dive into history and spot historical artefacts. There is something for everyone here.
Fethiye
Fethiye is a port city located on the south west coast, in the Muğla Region, of Turkey. Its coast lies on the Mediteranean Sea and the waters here are known for being coloured a vibrant blue. The coast, as well as the islands lying just offshore, are popular locations for day trips and diving. There are a handful of diving centres here which will show divers the best that these waters have to offer. The dive sites lie approximately 40 minutes from the port and there are numerous different types of dives to be done for divers of all levels. There are caverns, wrecks, reefs and shallow dive sites perfect for dive courses. The clear, calm waters and different underwater experiences are what attracts divers to this region.
Daylan
Dalyan is a town which lies on the Dalyan River which is located just inland from Turkey’s south west coast. Its coast borders the Mediterranean Sea. Most of the diving is done in the Dalyan Strait region. The one and only dive centre here will provide divers with full days of exciting diving experiences, visiting the underwater cave, the steep drop offs, the coral reefs and coral pinnacles, the shallow seagrass dive sites and show divers the high abundance of marine life that inhabits these waters.
Bodrum
Diving in Bodrum is very popular because of all the marine life and some great wreck diving.
Top Dive Sites Map
Diving in Muğla
Mugla, located in southwestern Turkey, is a diver's paradise offering diverse underwater experiences. One of the top dive sites is the B-24 Bomber wreck near Marmaris, a historical site that's a must-visit for wreck enthusiasts. Another popular location is the Blue Hole in Fethiye, renowned for its clear waters and abundant marine life, perfect for thrilling shore dives.
Night diving in Bodrum provides a unique opportunity to observe nocturnal marine behaviors, offering an unforgettable experience. The region offers a balance between shore dives and liveaboard options, catering to different preferences and diving skill levels. From the vibrant coral reefs to the captivating wrecks, Mugla promises an engaging adventure for all divers.
The best Months to Dive in Muğla
Mugla offers diverse diving conditions throughout the year, making it a popular destination for divers. The water temperature ranges from 17°C–26°C/63°F–79°F. During the summer months, the warmer waters provide comfortable diving experiences, while the cooler winter temperatures may require thicker wetsuits.
Visibility typically ranges from 20 meters/66 feet to 30 meters/98 feet, offering clear views of underwater life. However, divers should be aware of the Meltemi winds in the summer, which can create choppy sea conditions. Although diving is possible all year, the best conditions are usually found from late spring to early autumn, with winter months being less favorable due to cooler temperatures and increased currents.
Statistics
Historical data and trends
Dive Activity & Environmental Conditions
Centers Map
Divers Delight Dive Center
Faralya Mah. Hisar sk. No:90 Kelebekler vadisiFethiye / Ölüdeniz, Muğla, TUR
DSD DOGADAYIZ SCUBA DIVING
Ciftlik Mahallesi Yunus Emre Sokak No 4, 48300 Mugla, TUR
TUANA DETAY DIVE CENTER
Tuana Tatil Koyu Su Sporları, Mugla, TUR
MOVE diving centre
kalemya koyu Hillside Beach Club Fethiye, 48300 mugla, TUR
Happy Bubbles Dalis Merkezi
Dayılar Sok No.3 Gümbet Mah., 48400 Bodrum, TUR
Datca Reef Diving Center
İskele Mahallesi 74 Sokak Ataturk Caddesi No:13/B D: 4, 48900 Datca / Mugla, TUR
SARIGERME DIVING
Sarigerme Mah. Hurriyet Cad. No:19/7 Ortaca, 48660 Mugla, TUR
DEEP BLUE DALIS MERKEZI
Eskicesme Mahallesi Bahriye Ucok Sokak No 6, 48400 Mugla, TUR
DIVE ACADEMY
KURTULUŞ MAH. YENAN SOK. ÇETİN BAYRAM APT. B BLOK 5/2, 26100 ESKİŞEHİR, TUR
BEST DIVE CENTER
268 Sokak Mugla / Fethiye, Mugla, TUR
MERMAID DIVING CLUB
Camkoy Mah. Fevzi Cakmak Cad.No:30, Mugla, TUR
SARIGERME DIVING CENTER
Fevziye Mah. Sarısu Sokak. Tropical Tui Resort, Mugla, TUR