Cabrera - Cala Galiota

★★★★☆ (821)

Small bay shaped dive spot accesible by boat suitable for all levels. The seabed consists of a wall and different rock formations that host marine life practically from the surface to the depth that the diver wishes to reach.

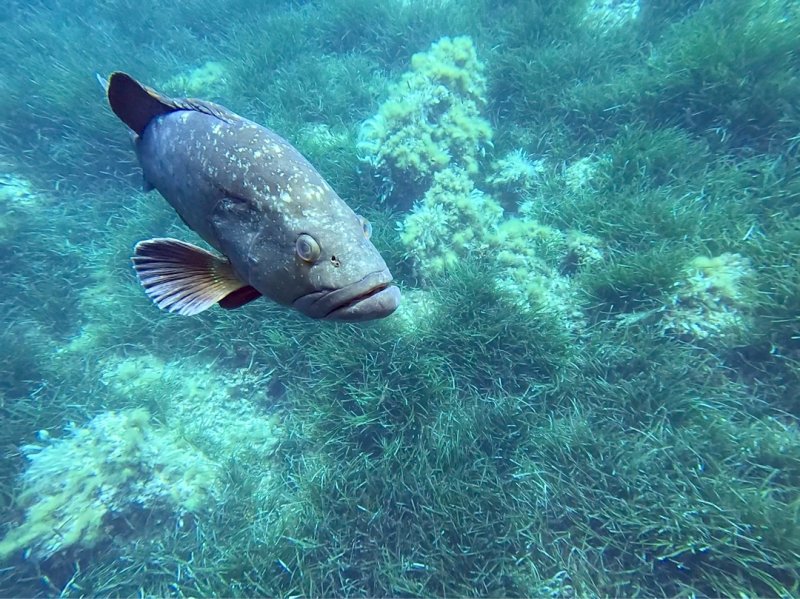
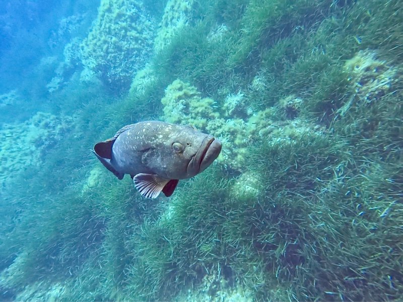
The grouper stands out as the predominant species, schools of barracuda and occasionally some rays are found. There are many smaller species not to miss out.

Dive Activity

Potential Wildlife Sightings

Wildlife Sightings are Based on User Generated Content

The image shown is a representative illustration and does not depict every individual animal in this category.

Total number of species: 27

Barracuda

181 Sightings
J
0
F
0
M
0
A
1
M
7
J
21
J
47
A
61
S
29
O
11
N
4
D
0

The image shown is a representative illustration and does not depict every individual animal in this category.

Total number of species: 250

Grouper/Basslets

273 Sightings
J
0
F
0
M
0
A
2
M
15
J
31
J
67
A
92
S
46
O
16
N
4
D
0

The image shown is a representative illustration and does not depict every individual animal in this category.

Total number of species: 80

Stingrays

47 Sightings
J
0
F
0
M
0
A
0
M
0
J
5
J
20
A
12
S
10
O
0
N
0
D
0

Dive Centers Catering This Dive Site

Dive Sites Nearby